
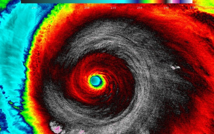
Δεν αναμένεται να ξεπεράσει τα 200 εκατ. δολάρια το ασφαλιστικό κόστος των καταστροφών που προκάλεσε ο τυφώνας Πατρίτσια στη δυτική ακτή του Μεξικού, σύμφωνα με όσα εκτιμά η εταιρεία μοντελοποίησης AIR Worldwide.
Σημειώνεται πως λίγες ώρες πριν χτυπήσει το Μεξικό, ο τυφώνας Πατρίτσια χαρακτηρίστηκε ως ο ισχυρότερος τυφώνας που έχει καταγραφεί στην ιστορία στο Δυτικό Ημισφαίριο και ειδικότερα στον Ατλαντικό και στον ανατολικό Ειρηνικό, με ταχύτητες που έφτασαν τα 200 μίλια/ώρα.
Όταν ωστόσο έφτασε στο Μεξικό, περίπου 55 χιλιόμετρα από την πόλη Manzanillo που έχει πληθυσμό 160.000, η ταχύτητα μειώθηκε στα 165 μίλια/ώρα.
Νωρίτερα, την Παρασκευή, ο οίκος AM Best είχε προχωρήσει στην εκτίμηση ότι ο ασφαλιστικός κλάδος του Μεξικού είναι επαρκώς κεφαλαιοποιημένος για να απορροφήσει τις όποιες ζημιές και τον οικονομικό αντίκτυπο από τον τυφώνα Πατρίτσια.
Σχόλια

Την παραίτησή του από CEO και Αντιπρόεδρος της Ιντερσαλόνικα υπέβαλε ο Κ. Γιαννιώτης
Generali: Στα €617,5 εκατ. ασφάλιστρα & στους top 3 της αγοράς
17 στελέχη της ασφαλιστικής αγοράς στο Delphi Forum (updated)
Ο ασφαλιστικός κλάδος χάνει τη μεγαλύτερη ευκαιρία του στο LinkedIn
Νόμος 5290: Τι αλλάζει στις υπηρεσίες οδικής βοήθειας
Η ενημέρωση που κάνει τη διαφορά
Αναλύσεις, εξελίξεις και αποκλειστικά νέα της ασφαλιστικής αγοράς, κάθε μέρα στο inbox σας.
Σχετικά Άρθρα

Και Αν Συμβεί… έχεις οικονομικό σχέδιο;

Η Εθνική Ασφαλιστική εκσυγχρονίζει τα κεντρικά της συστήματα

Έξι «plus» για την Εθνική από τη συμμαχία με την Allianz

Εθνική: Προς τετραπλασιασμό του bancassurance με την Allianz

Η Εθνική Τράπεζα αποκτά το 30% της Allianz Ελλάδος

Anytime: Ανεβάζει ρυθμούς στη Ρουμανία

ΕΑΔΕ - BIPAR: 6 παρεμβάσεις στους ευρωβουλευτές για τα PEPP


















